Overview
- Category
- Commercial, Land
Property Description
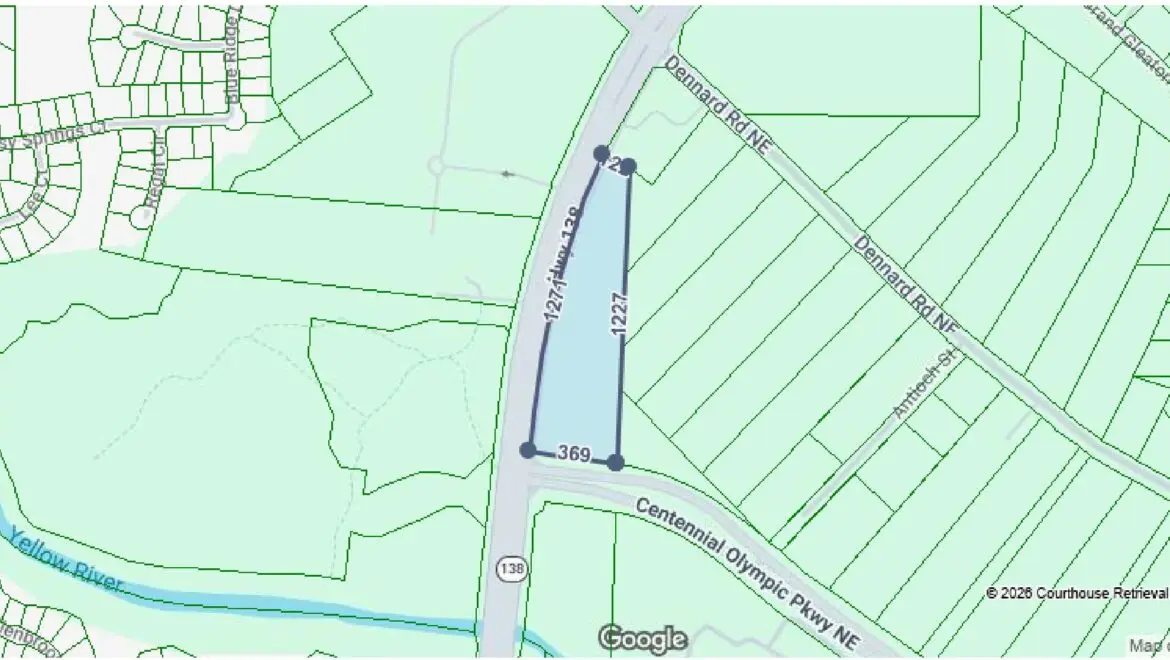
Positioned at the highly visible intersection of Highway 138 and Centennial Olympic Parkway in Conyers, Georgia, this ±7.58-acre C-1 zoned parcel offers a prime opportunity for commercial development in one of metro Atlanta’s fastest-growing corridors.
The site benefits from exceptional frontage along Highway 138, a major retail artery with strong daily traffic counts, providing excellent exposure for a wide range of commercial uses. Its proximity to the Georgia International Horse Park—a major regional tourism and recreation destination—adds a steady flow of visitors and enhances long-term commercial viability.
Surrounding the property, multiple active and recently completed residential communities—including Avondale North by LGI Homes, Riverside and Shoals Crossing by Rocklyn Homes, and Old Salem Crossing—are rapidly expanding the local population base. This surge in nearby rooftops is fueling increased demand for neighborhood-serving retail and services.
As Atlanta’s growth continues to push eastward, this corridor is emerging as a key hub for new development, creating strong demand for retail centers, medical and professional office space, quick-service restaurants, and service-oriented businesses.
Property Highlights:
- Prominent location at a signalized intersection with high visibility
- Direct frontage on a major commercial corridor (Highway 138)
- Surrounded by expanding residential development
- Minutes from a major regional attraction
- Strategically positioned in the path of east metro Atlanta growth
This site presents an exceptional opportunity for investors and developers seeking to capitalize on strong demographics, increasing consumer demand, and long-term area growth.
AVAILABLE PROPERTIES


















